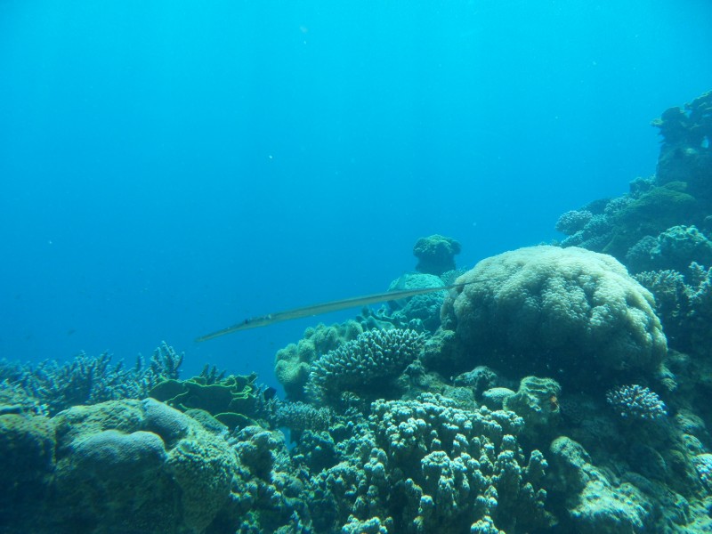
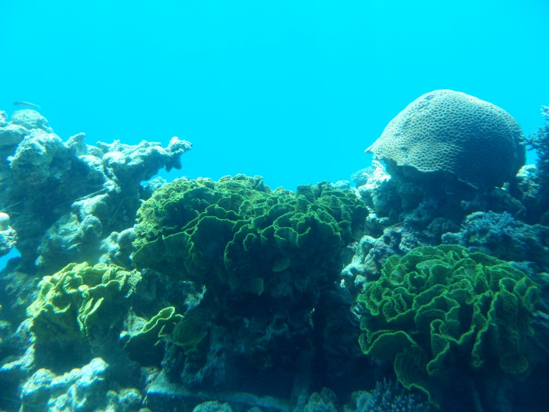
On commence sous un soleil radieux la journée avec la visite du Parc Observatoire sous-marine d’Eilat (remarque il ne pleut jamais à Eilat …). C’est à couper le souffle. Il en existe peu dans le monde, suivez ce lien pour en apprendre plus. Dans la mer rouge, si vous plongez à 5, 10 mètres … c’est ce que vous voyez … tous ces poissons colorés, ces coraux … . C’est comme si vous entrez dans un gigantesque aquarium de l’eau de mer … mais en effet c’est vous, c’est vous qui êtes dans l’aquarium … ce sont les poissons qui vous observent ;-).
We begin the day under a radiant sun with the visit of the Underwater Observatory Marine Park of Eilat (remark it’s never raining in Eilat). It is breathtaking. There are few in the world, follow this link to learn more about them. In the Red Sea, if you dive in 5, 10 meters it’s that what you see: all these colored fishes, these corals. It’s as if you enter into a gigantic aquarium of the ocean … but indeed it’s you, it’s you who are in the aquarium and the fishes are observing you ;-).
























































































